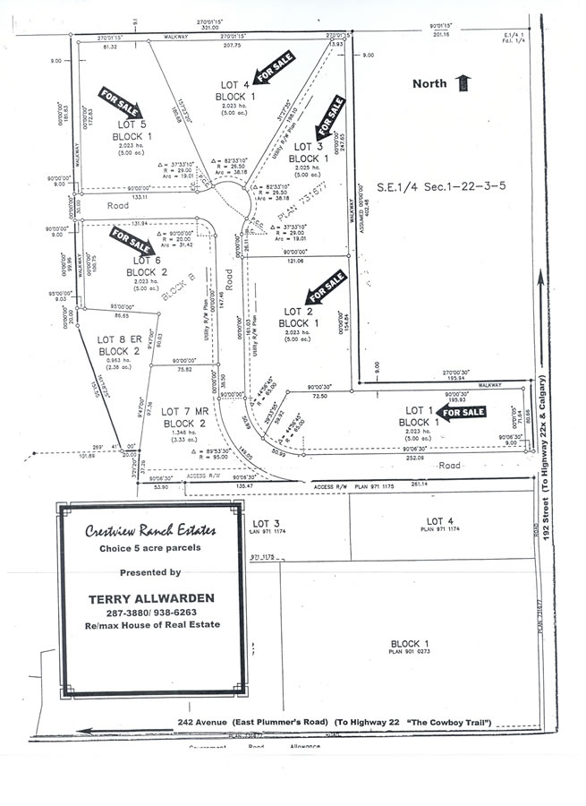
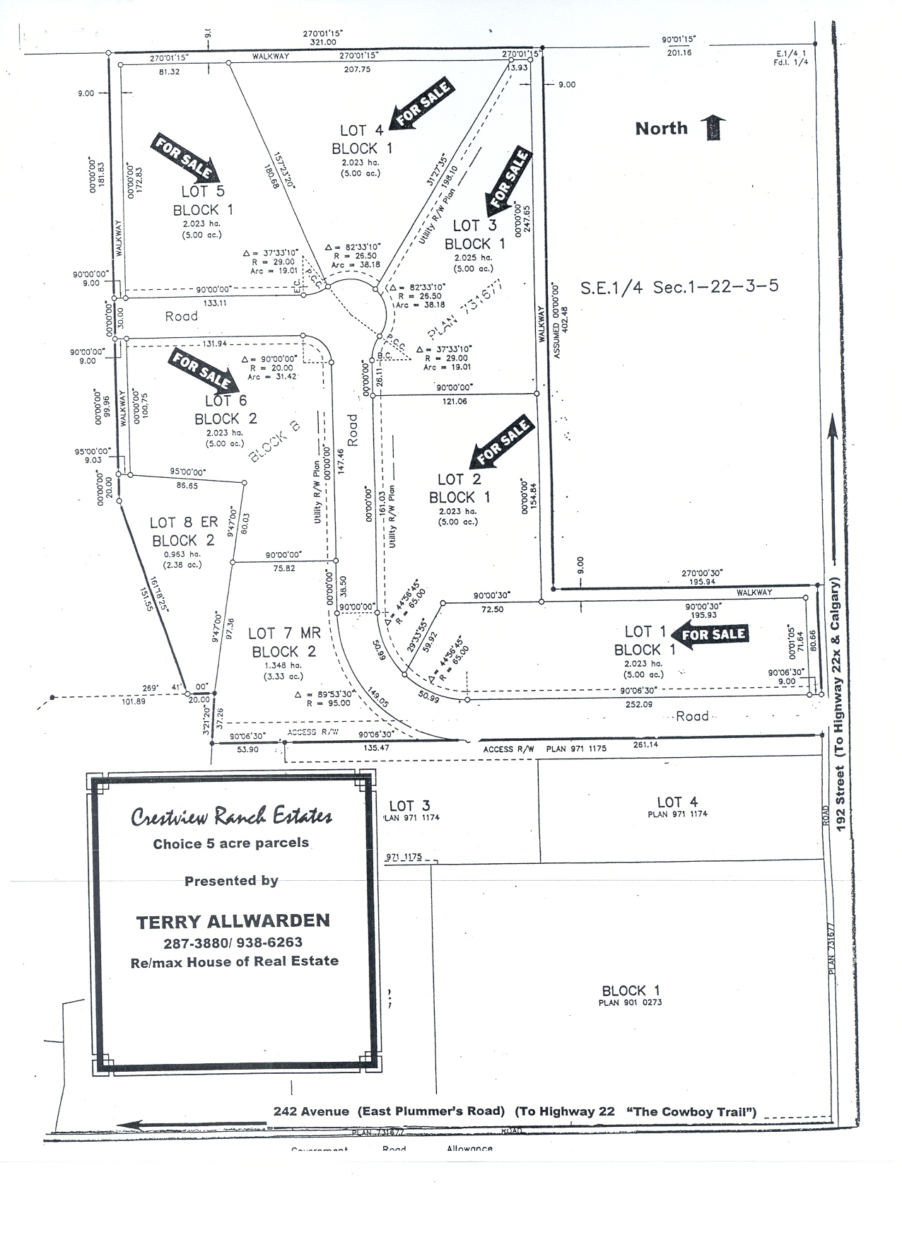
Crestview Ranch Estates Map

Previous | Home | Next

Those of you with faster connections can click on the picture below to enlarge to 8x10